Avec bonheur et au grand air, Nath est à Bali jusqu’à fin juin. Elle partage avec nous les 16 premiers jours de son voyage que j’avais précédemment intitulé “Du couchsurfing à Bali”. Dans cet article, elle évoque principalement les îles merveilleuses de Lombok et nous résume son itinéraire indonésien. Merci à elle !
Nath, quel a été ton itinéraire pour ces 16 premiers jours en Indonésie ?
Pour l’instant, voici l’itinéraire que j’ai suivi :
- J’ai passé 3 jours à Kuta et Legian pour profiter de la plage et de mes premières brochettes de satay, un régal !
- Ensuite, 4 jours à Ubud. J’ai fait de belles balades dans les rizières, découvert le marché local et visité la « grotte de l’éléphant » (Goa Gajah). J’ai même eu l’occasion de fabriquer mes propres bagues en argent au Art Centre !
- J’ai passé 9 jours incroyables à Lombok. Au programme : un trekking au Mont Rinjani, l’exploration des cascades autour de Senaru, et une journée avec un chauffeur pour rencontrer des artisans potiers et fabricants de masques.
- J’ai aussi passé 4 jours aux îles Gili, notamment à Gili Trawangan, pour faire du snorkeling.
- Je suis ensuite revenue à Ubud pour visiter la Monkey Forest. Demain, je vais tester un tour avec Nyoman, mon guide recommandé, puis je m’essayerai à la « Cooking Class » du Bumi Bali !
Parle-nous de ton expérience snorkeling aux îles Gili, en particulier à Gili Trawangan !
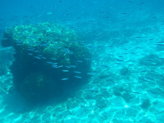
S’il y a bien un endroit où la plongée ou le snorkeling sont incontournables, ce sont les îles Gili. Ces trois petites îles sont situées au nord-est de Bali, juste à côté de Lombok. Il y a Gili Trawangan, Gili Air et Gili Meno, chacune avec son ambiance. Pour ma part, je suis allée à **Gili Trawangan**, la plus animée et la plus peuplée des trois.
Armée de mon masque et tuba loués pour 15 000 IDR (environ 1,5€), j’ai exploré la plage au nord de la jetée, près du sanctuaire à tortues, un excellent point de repère. Il est crucial de bien repérer la marée haute, car autrement, il est très facile de se faire mal sur les coraux. Dès que vous mettez la tête sous l’eau, un spectacle magnifique vous attend : des dizaines, voire des centaines de poissons ! Certains sont peu farouches, car ils ont l’habitude des touristes qui leur donnent du pain. Un petit poisson a même essayé de me croquer le doigt. Heureusement, pas de doigt perdu, mais cela m’a bien pincé !
J’ai aussi opté pour une journée snorkeling organisée, à 75 000 IDR. Cette excursion nous emmène à différents points pour observer les poissons, mais aussi les tortues marines. C’est une expérience que je recommande vivement pour admirer la biodiversité marine de l’Indonésie. Cela m’a rappelé combien il est important de respecter cet environnement précieux.
Quel est ton spot préféré pour le coucher de soleil à Gili Trawangan ?
Le soir venu à Gili Trawangan, on attend tous avec impatience le coucher du soleil. Un endroit se prête particulièrement bien à ce moment magique : la fameuse « colline » de 70 mètres. Pour y accéder, il suffit de prendre la route qui traverse le milieu du village. Je ne pourrais pas vous donner de nom de rue, car il semble qu’il n’y en ait pas vraiment sur Gili Trawangan. En tout cas, c’est la rue où se trouve Edy Homestay, où je logeais et que je recommande d’ailleurs pour son accueil simple et chaleureux.
Une fois sur cette route, il faut trouver les marches et suivre le chemin jusqu’au bout. Vous atteindrez alors le « sommet » de la colline. Vous serez peut-être seul, ou entouré de peu de touristes et de locaux, pour apprécier ce délicieux instant. C’est un moment de sérénité absolue, où l’on se sent en parfaite harmonie avec la nature et les habitants. Ces instants sont précieux et j’en garde un souvenir ému.
À bientôt !
Nath.
Pour suivre toutes les aventures de Nath sur Balisolo, vous pouvez consulter ses articles. Avez-vous déjà exploré Gili Trawangan ? Partagez vos meilleurs souvenirs ou vos questions en commentaire !
En savoir plus sur Balisolo
Subscribe to get the latest posts sent to your email.











Commenter l'article